Strip Center Redevelopment

1830 N Columbia Street

Milledgeville, GA 31061

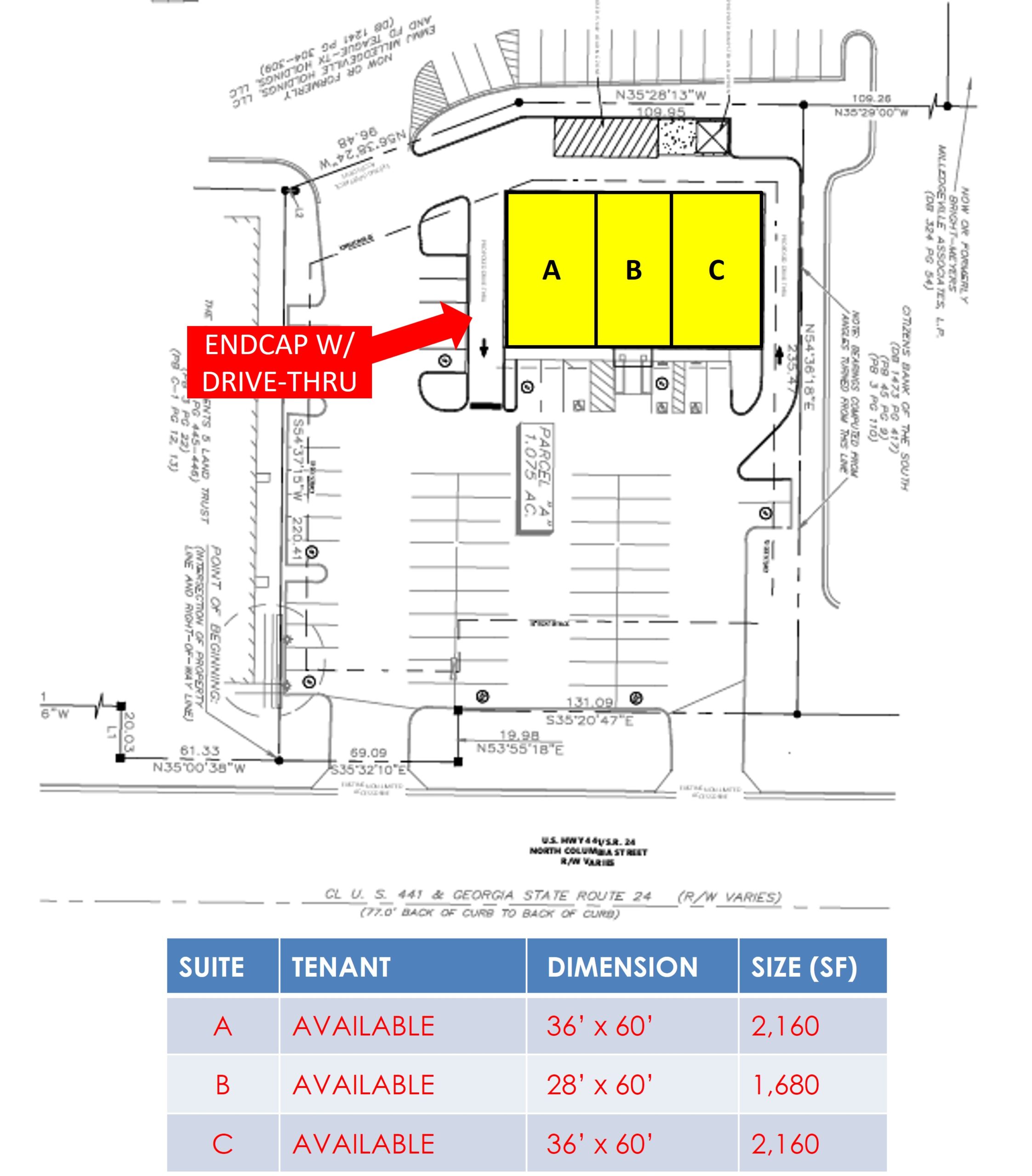
FOR LEASE: 6,000 square foot strip center redevelopment in Milledgeville, GA that is an outparcel to Tractor Supply and Food Depot. The property benefits from being within close proximity to Georgia College & State University (6,800+ Students), Central Georgia Technical College (15,000+ Students) and Georgia Military College (3,900+ Students). National retailers in this corridor include: Hobby Lobby, Ross, Lowe’s, Bealls, PetSmart, Chick-Fil-A, TJ Maxx, and Walmart. The property features an endcap with a drive-thru, freestanding signage, and two full access curb cuts on N Columbia St.

Property Highlights

Community Profile

  • Mile 1
  • Mile 3
  • Mile 5
  • Total Population
  • 3,031
  • 16,677
  • 27,864
  • Total Households
  • 1,316
  • 6,659
  • 11,039
  • Avg HH Income ($)
  • 77,087
  • 59,554
  • 61,131

Leasing Contact